来源:河北广播电视台冀时客户端
责编:李涛
时间:2023-04-06 09:39:41
清明时节春回大地
正是踏青春游的好时机
俗语说“春食野,夏吃苦”
挖野菜是春季踏青打卡
必不可少的项目
而误食有毒野菜的事件时有发生
4月1日,四川宜宾
张女士一家6人扫墓结束后
误把采摘的化儿草当成血皮菜
食用后集体中毒

据当事人张女士称
食用10分钟后相继呕吐不止
去了医院进行洗胃
目前全家情况稳定

当地疾控人员提醒
化儿草仅可外敷消肿
不可食用
提醒大家不要随意采摘野菜
避免误食中毒
各地疾控中心提醒:
路边野菜别乱食用
随着春季来临,喜欢尝鲜的食客们也喜欢食用“野菜”。许多市民喜欢去到郊区或公园找野菜尝鲜。近期各地疾控中心纷纷发文提醒——路边野菜别乱食用。
日前,浙江省湖州市疾控中心营食科就曾发文提醒市民,野菜选不对,可能会中毒。比如黄花菜,黄花菜是萱草属植物的一种,萱草属中除黄花菜外,其余大多不可食用。如我们日常在花坛中见到的大苞萱草或者金娃娃萱草等。萱草中含有秋水仙碱,烹饪加工很难祛除,误食后就会出现口干、腹泻、头晕等中毒症状。
还有不少野菜加工不当或过量食用易中毒。比如蕨菜中含有一种叫原蕨苷的成分,特别是幼嫩部分含量更高,而原蕨苷被世界卫生组织评为2B类致癌物,食用前需要用热水焯一下才能去除。如果直接食用,轻则导致呕吐、腹痛、里急后重等,重则出现神经系统症状,如头晕、头痛、眩晕、意识不清等。
鱼腥草具有抗炎、杀菌的功效,常做凉拌食用。但是过量食用可能会出现恶心、呕吐、大汗、呼吸困难、昏迷等症状。鱼腥草还含有马兜铃内酰胺,长期大量食用会对肾脏造成不可逆损伤和导致上尿路上皮癌。
除了化儿草与血皮菜相似外,全株有剧毒的断肠草也与清热解毒的金银花极为相似。误食断肠草后会在短时间内呈现抽筋、晕眩、呼吸衰竭、昏迷、恶心呕吐、口吐白沫、腹痛不止等中毒症状,一旦误食应尽快送医院抢救。
此外,在野外生长的木耳也建议不要擅自采摘和食用。木耳是寄生在树木上的真菌类食物,生长所需的营养物质都来源于所寄生的树木。如果树木有毒,那么木耳的生长过程会吸收树上的毒素。比如香樟木,含有烷烃类、酚类、烯类和樟醚等成分,对人体均有不同程度的毒副作用,香樟木上的木耳不可食用。
河北省疾控中心发布最新提示

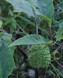
曼陀罗


草本或半灌木状,高0.5-1.5米,常生于住宅旁、路边或草地上。
全株有毒,常于食后半小时至1小时出现症状,有口干、吞咽困难、声音嘶哑、皮肤干燥、潮红、发热,心跳增快等症状,严重者在12~24小时后进入昏睡、痉挛、发绀、最后昏迷死亡。
商陆


多年生草本,高0.5-1.5米,常生于山脚、林间、路旁及房前屋后。
商陆全草有毒,以根和果实毒性最大,误食后会出现口舌麻木、恶心、呕吐、腹痛等症状,严重时还可能导致昏迷和死亡。
乌头


多年生草本,生于山地草坡或灌木丛中。根茎呈棒状,具有毒性,主要有毒成分是乌头碱。
误食后会出现头晕、恶心、呕吐、腹泻、口舌及四肢麻木,全身紧束感等症状,严重时还可能导致心律失常、心跳骤停和呼吸困难等情况。
不要采摘买卖、进食
不认识的野生植物
一旦出现中毒症状
应立即催吐
并就近到医院救治
采取洗胃、导泻及其他对症治疗措施
提醒!这几种植物也不要随意采摘
此前
石家庄市园林局园林专家
郝庆云介绍
有毒植物中毒的途径大体分为这四种
因误食而中毒:误食有毒植物造成中毒现象。
因间接食用而中毒:使用未经处理的有毒植物的树枝当筷子吃饭,或以有毒植物的枝叶当柴火烤东西吃,都可能间接中毒。
因吸入而中毒:某些植物的花粉常造成人畜呼吸道的不适,表现为打喷嚏、流鼻涕等,严重时甚至会死亡。另外,有些植物的茎叶或加工品,在点燃而吸食其气体后,也会引发中毒症状。
因接触而中毒:许多植物的汁液或焮毛等碰触到人畜的皮肤,往往会造成红肿、发痒甚至溃烂等现象。
在我们身边常见的有毒植物有这几种
不要随意采摘
↓↓↓
狼毒

狼毒的毒性较大,可以杀虫;根还可提取工业用酒精,根及茎皮可造纸。由于天然草地持续退化,狼毒在退化草地上的扩散日益严重,影响中国草地畜牧业的可持续发展与生态安全。
白头翁

白头翁拥有毛茛科的“毒”特性,全身都是毒,植株内含有白头翁素、白头翁皂苷、白头翁酸等,尤其是根部的毒性最强,对皮肤和黏膜有强烈的刺激作用,可使内脏血管收缩,末梢血管扩张。
铃兰

铃兰全株各部位均具有较强毒性,中毒不良反应常表现为腹痛、呕吐、心率下降、视线模糊、眩晕、皮肤红疹等。
照山白

照山白有剧毒,幼叶更毒,牲畜误食,易中毒死亡,枝叶可入药,但须去毒存正后方能使用。
转发提醒更多人
遇到这些植物千万不要采摘
来源:河北新闻网